花冠旅游服务
  • 首页
  • 新疆旅游
  • 福建旅游
  • 江西旅游
首页 包含"福建历史最大台风记录"标签的文章
福建历史最大台风是哪个? 福建旅游

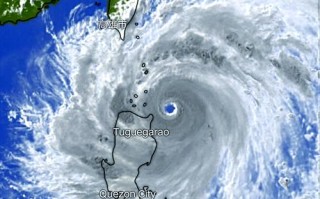
福建历史最大台风是哪个?

从强度数据上看, “龙王” 是建国后登陆福建最强的台风,从造成的破坏和影响上看, “莫兰蒂” 被认为是“福建历史之最”,因为它登陆时正值天文大潮,造成了灾难性的后果,下面我将详细解释这两场台风以及其它...

99ANYc3cd6 2026-04-05 2 #福建历史最强台风排名 #福建史上最强台风是哪场 #福建历史最大台风记录

随机图文

  • 太原到新疆伊犁路程多远?

    太原到新疆伊犁路程多远?

    2025-12-09 0
  • 成都到新疆火车票价多少?

    成都到新疆火车票价多少?

    2025-12-14 0
  • 10月新疆穿什么衣服?温度与穿搭指南?

    10月新疆穿什么衣服?温度与穿搭指南?

    2025-12-16 0

最新文章

  • 新疆若羌县属于哪个市?

    新疆若羌县属于哪个市?

    2026-04-24 0
  • 江西上饶到上海火车时刻表查询?

    江西上饶到上海火车时刻表查询?

    2026-04-24 0
  • 新疆奇台县属于哪个市?

    新疆奇台县属于哪个市?

    2026-04-24 0
  • 库尔勒未来几天天气如何?

    库尔勒未来几天天气如何?

    2026-04-24 0
  • 去新疆会高原反应吗?

    去新疆会高原反应吗?

    2026-04-24 0
  • 汕头到江西自驾游路线怎么走?

    汕头到江西自驾游路线怎么走?

    2026-04-24 0

热门文章

  • 1.昆明到福建火车时刻表
  • 2.国庆新疆旅游人多到什么程度?
  • 3.沙雅县天气如何?
  • 4.新疆驰达电气客服电话是多少?
  • 5.新疆当前时间是多少?
  • 6.泉港医院如何?
  • 7.湖南到江西自驾游路线怎么走?
  • 8.博乐有哪些值得一玩的景点?

关于本站

侵权处理与合作:473708564#qq.com,#换成@就是邮箱

沪ICP备2024102905号

联系我们

关注我们

花冠旅游服务二维码